灭绝恐龙的小行星以杏耀软件“最致命的”角度
模拟显示,小行星以大约60度的角度撞击地球,这最大程度地增加了向高层大气中喷射的气候变化气体的数量。 这样的撞击可能释放出数十...
模拟显示,小行星以大约60度的角度撞击地球,这最大程度地增加了向高层大气中喷射的气候变化气体的数量。 这样的撞击可能释放出数十...
在夏天和冬天的天空中都很突出的那条白色的光带,是我们所在的银河系圆盘中最密集的部分。然而,在很长一段时间内,它看起来并不总...
空间越来越拥挤。老化的卫星和太空碎片聚集在近地轨道上,发射新卫星增加了碰撞的风险。根据一项新的研究,解决太空垃圾问题最有效...
在密集的星团中,黑洞和中子星的合并与那些在恒星很少的孤立区域中形成的合并很不一样。它们的相关特征可能对研究引力波及其来源至...
就像揭示宇宙深处奥秘的水晶球一样,星系和其他巨大的空间物体可以作为透镜,以同样的方式折射出更遥远的物体和现象。 引力透镜效应...
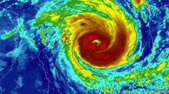
美国国家航空航天局(NASA)和美国国家海洋和大气管理局(NOAA)的卫星一直在向预报员提供卫星数据,显示台风黄蜂(Vongfong)在登陆菲律宾并继续...
天文学家使用斯巴鲁望远镜已经确定,TRAPPIST-1系统中的类地行星与恒星的旋转没有明显的偏差。这对于理解围绕低质量恒星的行星系统的演...
你可能已经看过卫星图像,显示了飓风的发展:厚厚的白云聚集在一起,手臂绕着中心眼旋转,向海岸进发。 经过几十年的研究,气象学家仍...
美国宇航局的Terra卫星显示, 下载杏耀 在黄蜂从热带风暴升级为台风的过程中,出现了强烈的风暴。黄蜂在菲律宾当地被称为台风安波。...
借助美国国家航空航天局的凌日系外行星调查卫星(TESS)的数据,天文学家在几十颗快速旋转的年轻恒星中发现了难以捉摸的脉动模式。这一...
在5月底和6月初,地球人可能能够看到天鹅彗星。目前,在太阳升起之前,这颗彗星在南半球用肉眼是依稀可见的,这为天文观测者提供了一...
俄罗斯天体物理学家已经接近解决太空中高能中微子的来源之谜。该小组比较了南极中微子天文台冰立方收集的难以捕捉的粒子数据和射电...
Copyright © 2002-2019 杏耀平台-杏耀注册登录链接 版权所有 Power by DedeCms 技术支持:织梦园